Step 1000

  next →

Response

Reasoning Content

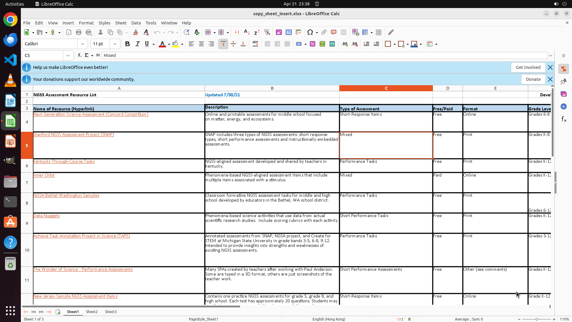
让我分析当前的情况: 1. 我需要回答两个问题: - 确认 LibreOffice Calc 底部工作表标签的准确名称(是 'Sheet1' 还是 'Sheet 1') - 确认是否存在名为 'Sheet2' 的工作表标签 2. 从截图中,我可以看到: - 底部有三个工作表标签 - 从左到右分别是:"Sheet1", "Sheet2", "Sheet3" - 注意:标签显示的是"Sheet1"(没有空格),而不是"Sheet 1"(有空格) 3. 我需要填写这两个问题的答案。 让我仔细观察截图中的工作表标签区域。在底部可以看到: - "Sheet1" - 当前激活的工作表(白色背景) - "Sheet2" - 第二个工作表标签 - "Sheet3" - 第三个工作表标签 所以: 1. 工作表标签的准确名称是 "Sheet1"(没有空格),不是 "Sheet 1"(有空格) 2. 存在名为 "Sheet2" 的工作表标签 我现在应该调用 fill_information 来填写这两个答案。

Content

``` #### 从截图中观察到的信息 从 LibreOffice Calc 截图的底部工作表标签区域可以清晰看到: 1. 有三个工作表标签,从左到右分别是:"Sheet1"、"Sheet2"、"Sheet3" 2. 当前激活的是 "Sheet1"(显示为白色背景) 3. 标签名称是 "Sheet1"(无空格),不是 "Sheet 1"(有空格) 4. 确实存在名为 "Sheet2" 的工作表标签 #### 下一步计划 直接调用 fill_information 填写两个问题的答案,因为截图中已经包含所有需要的信息。 ```

Actions

fill_information: { "question": "确认 LibreOffice Calc 底部工作表标签的准确名称(是 'Sheet1' 还是 'Sheet 1')", "answer": "工作表标签的准确名称是 'Sheet1'(无空格),不是 'Sheet 1'(有空格)。从截图底部可以看到三个标签:Sheet1、Sheet2、Sheet3,当前激活的是 Sheet1。", "necessary_info": "工作表标签命名约定:LibreOffice Calc 默认使用 'Sheet1'、'Sheet2'、'Sheet3' 这样的格式(无空格)。标签位于窗口底部,当前激活的标签显示为白色背景,其他标签为灰色背景。任务要求将 'Sheet 1' 重命名为 'LARS Resources',但实际标签名是 'Sheet1'(无空格)。" }
fill_information: { "question": "确认是否存在名为 'Sheet2' 的工作表标签", "answer": "是的,存在名为 'Sheet2' 的工作表标签。在底部标签栏中可以看到三个标签:Sheet1(当前激活)、Sheet2、Sheet3。", "necessary_info": "工作表标签布局:从左到右依次为 Sheet1(白色/激活)、Sheet2(灰色)、Sheet3(灰色)。任务要求将 Sheet2 重命名为 'LARS Resources (Offline)',并需要在 Sheet1 和 Sheet2 之间插入一个备份副本。" }

Token Usage

CategoryCount
Prompt (total)4193
↳ text2244
↳ image1949
↳ cached0
Completion (total)665
↳ reasoning237
Total4858

model: kimi-k2.5   finish: tool_calls

Attempts (1)

attempt-000

Request Messages

user
text (3119 chars)
以下有几个部分:
ROLE_AND_TASK:你的角色定义以及任务描述
TOOLS:你可以调用的工具列表,以及每个工具的参数说明
OUTPUT:输出相关规则和约束
TIPS:重要建议
SITUATION:上次操作、屏幕截图、待回答问题

<ROLE_AND_TASK>
你是一个信息收集代理,正在操作 Ubuntu Linux 桌面。你可以通过截图查看屏幕,并使用鼠标和键盘动作来查找信息。

你的目标不是完成任务本身,而是在有限步数内尽可能多而详细地回答 SITUATION 中待回答的问题。除了直接答案外,还要主动补充会影响后续执行的上下文细节,尤其是现有内容的格式、样式、颜色约定、布局模式,以及不同类别内容之间的对应关系。
相关任务背景: Rename "Sheet 1" to "LARS Resources". Then make a copy of it. Place the copy before "Sheet 2" and rename it by appending a suffix "(Backup)", concatenated by a white space. And Also rename "Sheet2" to "LARS Resources (Offline)".

工作流程:
1. 查看 SITUATION 中的待回答问题和屏幕截图。
2. 如果截图中已包含某些问题的答案,直接调用 `fill_information` 填写。
3. 如果需要额外信息,调用 `computer` 执行操作(打开文件、执行终端命令等)来获取。
4. 你只有 5 步操作预算,请高效利用每一步,尽量一次操作覆盖多个问题。

</ROLE_AND_TASK>

<TOOLS>
你拥有以下工具:computer、fill_information。
每次调用可以包含 `computer` 操作(获取信息)、`fill_information`(填写已获得的答案),或两者兼有。

## computer
操作电脑的动作库,调用它以在桌面上执行操作。

坐标值定义:
在最新一张屏幕截图中的坐标轴比例,使用 [0, 1] 范围内的归一化值。其中 (0, 0) = 屏幕左上角,(1, 1) = 屏幕右下角。

操作和参数说明:
1. 移动鼠标
{
  "action": "mouse_move",
  "to_coordinate": [float, float], # 移动到的坐标值。
}

2. 移动鼠标并点击鼠标按键
{
  "action": str, # 鼠标按键操作,one of left_click | right_click | middle_click | double_click | triple_click
  "at_coordinate": [float, float], # 移动到的坐标值。
  "with_key": str or None, # 点击时按住的键盘按键(比如"ctrl"、"shift"),如没有则填None。
}

3. 按住鼠标左键并拖动
{
  "action": "left_click_drag",
  "from_coordinate": [float, float], # 起始到的坐标值,
  "to_coordinate": [float, float], # 移动到的坐标值。
  "with_key": str or None, # 点击时按住的键盘按键(比如"ctrl"、"shift"),如没有则填None。
}

4. 输入文字
{
  "action": "type",
  "text": str, # 要输入的文字
  "submit": bool, # 输入后是否按 Enter 键提交
}

5. 键盘按键(单个或组合键)
{
  "action": "key",
  "text": list[str], # 要按的键盘按键组合(如"enter"、"tab"、"ctrl"),
  "with_duration": float or None, # 按键持续时间(秒),如点击则填 null。
}

6. 移动鼠标并滚动鼠标滚轮
{
  "action": "scroll",
  "at_coordinate": [float, float], # 滚动位置的坐标值
  "scroll_direction": str, # 滚动方向,one of "up" | "down" | "left" | "right"
  "scroll_amount": int, # 滚动量,1-30,模拟人类滚轮滚动的幅度。较大的值表示更大幅度的滚动。
}

7. 等待
{
  "action": "wait",
  "duration": float, # 等待秒数。根据操作后界面变化的复杂程度调整等待时间。
}


BATCH动作原则:
BATCH动作指一组连续且相对固定的电脑操作,主要用来减少不必要的对话过程。
- 例如:顺序输入(type→Tab→type)、键盘快捷键(Ctrl+C 然后 Ctrl+V)、输入一段字符后 Enter(在搜索输入框中常用)。
- DO NOT BATCH:涉及界面状态变化等待的操作(如打开菜单/对话框后等待动画)→ 依赖新坐标的操作。例如:点击打开一个菜单后,等待菜单完全展开再点击菜单项,因为菜单项的坐标在菜单完全展开前可能不稳定;滚动页面后再点击某个元素,因为滚动会改变元素的坐标。
**只在比较确定的操作中可以使用多个动作组合。当你不确定时,使用单个动作是更保险的做法**

## fill_information
当你从截图或操作结果中获得了某个问题的答案时,调用此工具填写。可以在同一轮中多次调用来回答多个问题。
{
  "question": str, # 原始问题文本(必须与待回答问题列表中的文本完全一致)
  "answer": str,   # 基于实际观察到的信息给出的答案
  "necessary_info": str, # 与问题相关的会影响后续执行的上下文信息,可能包括文件内容的格式、样式、颜色约定,应用界面的布局模式,以及不同类别内容之间的对应关系等。
}
</TOOLS>

<OUTPUT>
输出你从截图中观察到的详细信息、分析和计划,然后调用工具。

```
#### 从截图中观察到的信息

...

#### 下一步计划

...
```
</OUTPUT>

<TIPS>
- 优先从当前截图中提取信息,能直接回答的问题立即用 `fill_information` 填写,不要浪费步骤。
- 尝试一次操作同时获取多个问题的答案(如打开文件既能看到结构又能看到内容)。
- 如果截图与上一张相同,说明操作没有生效,换一种方式。
- 剩余步骤有限,优先回答最容易获取的问题;跳过在预算内无法获取的问题。
</TIPS>

<SITUATION>

## 1. 待回答问题
## 确认 LibreOffice Calc 底部工作表标签的准确名称(是 'Sheet1' 还是 'Sheet 1')
**回答**: 尚未回答


## 确认是否存在名为 'Sheet2' 的工作表标签
**回答**: 尚未回答


## 2. 上一次的决策

### 2.1. 上一次的观察和思考


### 2.2. 上一次的操作
[]

## 3. 屏幕截图
## 3.1 最新屏幕状态(上一次操作后,未压缩)

inline base64 image ~423KB

## 4. 上一次操作的前 5 步操作简述
暂无历史步骤

</SITUATION>



Response

Reasoning Content

让我分析当前的情况: 1. 我需要回答两个问题: - 确认 LibreOffice Calc 底部工作表标签的准确名称(是 'Sheet1' 还是 'Sheet 1') - 确认是否存在名为 'Sheet2' 的工作表标签 2. 从截图中,我可以看到: - 底部有三个工作表标签 - 从左到右分别是:"Sheet1", "Sheet2", "Sheet3" - 注意:标签显示的是"Sheet1"(没有空格),而不是"Sheet 1"(有空格) 3. 我需要填写这两个问题的答案。 让我仔细观察截图中的工作表标签区域。在底部可以看到: - "Sheet1" - 当前激活的工作表(白色背景) - "Sheet2" - 第二个工作表标签 - "Sheet3" - 第三个工作表标签 所以: 1. 工作表标签的准确名称是 "Sheet1"(没有空格),不是 "Sheet 1"(有空格) 2. 存在名为 "Sheet2" 的工作表标签 我现在应该调用 fill_information 来填写这两个答案。

Content

``` #### 从截图中观察到的信息 从 LibreOffice Calc 截图的底部工作表标签区域可以清晰看到: 1. 有三个工作表标签,从左到右分别是:"Sheet1"、"Sheet2"、"Sheet3" 2. 当前激活的是 "Sheet1"(显示为白色背景) 3. 标签名称是 "Sheet1"(无空格),不是 "Sheet 1"(有空格) 4. 确实存在名为 "Sheet2" 的工作表标签 #### 下一步计划 直接调用 fill_information 填写两个问题的答案,因为截图中已经包含所有需要的信息。 ```

Actions

fill_information: { "question": "确认 LibreOffice Calc 底部工作表标签的准确名称(是 'Sheet1' 还是 'Sheet 1')", "answer": "工作表标签的准确名称是 'Sheet1'(无空格),不是 'Sheet 1'(有空格)。从截图底部可以看到三个标签:Sheet1、Sheet2、Sheet3,当前激活的是 Sheet1。", "necessary_info": "工作表标签命名约定:LibreOffice Calc 默认使用 'Sheet1'、'Sheet2'、'Sheet3' 这样的格式(无空格)。标签位于窗口底部,当前激活的标签显示为白色背景,其他标签为灰色背景。任务要求将 'Sheet 1' 重命名为 'LARS Resources',但实际标签名是 'Sheet1'(无空格)。" }
fill_information: { "question": "确认是否存在名为 'Sheet2' 的工作表标签", "answer": "是的,存在名为 'Sheet2' 的工作表标签。在底部标签栏中可以看到三个标签:Sheet1(当前激活)、Sheet2、Sheet3。", "necessary_info": "工作表标签布局:从左到右依次为 Sheet1(白色/激活)、Sheet2(灰色)、Sheet3(灰色)。任务要求将 Sheet2 重命名为 'LARS Resources (Offline)',并需要在 Sheet1 和 Sheet2 之间插入一个备份副本。" }

Token Usage

CategoryCount
Prompt (total)4193
↳ text2244
↳ image1949
↳ cached0
Completion (total)665
↳ reasoning237
Total4858

model: kimi-k2.5   finish: tool_calls

Screenshots

full.png

Request Messages

user
text (3119 chars)
以下有几个部分:
ROLE_AND_TASK:你的角色定义以及任务描述
TOOLS:你可以调用的工具列表,以及每个工具的参数说明
OUTPUT:输出相关规则和约束
TIPS:重要建议
SITUATION:上次操作、屏幕截图、待回答问题

<ROLE_AND_TASK>
你是一个信息收集代理,正在操作 Ubuntu Linux 桌面。你可以通过截图查看屏幕,并使用鼠标和键盘动作来查找信息。

你的目标不是完成任务本身,而是在有限步数内尽可能多而详细地回答 SITUATION 中待回答的问题。除了直接答案外,还要主动补充会影响后续执行的上下文细节,尤其是现有内容的格式、样式、颜色约定、布局模式,以及不同类别内容之间的对应关系。
相关任务背景: Rename "Sheet 1" to "LARS Resources". Then make a copy of it. Place the copy before "Sheet 2" and rename it by appending a suffix "(Backup)", concatenated by a white space. And Also rename "Sheet2" to "LARS Resources (Offline)".

工作流程:
1. 查看 SITUATION 中的待回答问题和屏幕截图。
2. 如果截图中已包含某些问题的答案,直接调用 `fill_information` 填写。
3. 如果需要额外信息,调用 `computer` 执行操作(打开文件、执行终端命令等)来获取。
4. 你只有 5 步操作预算,请高效利用每一步,尽量一次操作覆盖多个问题。

</ROLE_AND_TASK>

<TOOLS>
你拥有以下工具:computer、fill_information。
每次调用可以包含 `computer` 操作(获取信息)、`fill_information`(填写已获得的答案),或两者兼有。

## computer
操作电脑的动作库,调用它以在桌面上执行操作。

坐标值定义:
在最新一张屏幕截图中的坐标轴比例,使用 [0, 1] 范围内的归一化值。其中 (0, 0) = 屏幕左上角,(1, 1) = 屏幕右下角。

操作和参数说明:
1. 移动鼠标
{
  "action": "mouse_move",
  "to_coordinate": [float, float], # 移动到的坐标值。
}

2. 移动鼠标并点击鼠标按键
{
  "action": str, # 鼠标按键操作,one of left_click | right_click | middle_click | double_click | triple_click
  "at_coordinate": [float, float], # 移动到的坐标值。
  "with_key": str or None, # 点击时按住的键盘按键(比如"ctrl"、"shift"),如没有则填None。
}

3. 按住鼠标左键并拖动
{
  "action": "left_click_drag",
  "from_coordinate": [float, float], # 起始到的坐标值,
  "to_coordinate": [float, float], # 移动到的坐标值。
  "with_key": str or None, # 点击时按住的键盘按键(比如"ctrl"、"shift"),如没有则填None。
}

4. 输入文字
{
  "action": "type",
  "text": str, # 要输入的文字
  "submit": bool, # 输入后是否按 Enter 键提交
}

5. 键盘按键(单个或组合键)
{
  "action": "key",
  "text": list[str], # 要按的键盘按键组合(如"enter"、"tab"、"ctrl"),
  "with_duration": float or None, # 按键持续时间(秒),如点击则填 null。
}

6. 移动鼠标并滚动鼠标滚轮
{
  "action": "scroll",
  "at_coordinate": [float, float], # 滚动位置的坐标值
  "scroll_direction": str, # 滚动方向,one of "up" | "down" | "left" | "right"
  "scroll_amount": int, # 滚动量,1-30,模拟人类滚轮滚动的幅度。较大的值表示更大幅度的滚动。
}

7. 等待
{
  "action": "wait",
  "duration": float, # 等待秒数。根据操作后界面变化的复杂程度调整等待时间。
}


BATCH动作原则:
BATCH动作指一组连续且相对固定的电脑操作,主要用来减少不必要的对话过程。
- 例如:顺序输入(type→Tab→type)、键盘快捷键(Ctrl+C 然后 Ctrl+V)、输入一段字符后 Enter(在搜索输入框中常用)。
- DO NOT BATCH:涉及界面状态变化等待的操作(如打开菜单/对话框后等待动画)→ 依赖新坐标的操作。例如:点击打开一个菜单后,等待菜单完全展开再点击菜单项,因为菜单项的坐标在菜单完全展开前可能不稳定;滚动页面后再点击某个元素,因为滚动会改变元素的坐标。
**只在比较确定的操作中可以使用多个动作组合。当你不确定时,使用单个动作是更保险的做法**

## fill_information
当你从截图或操作结果中获得了某个问题的答案时,调用此工具填写。可以在同一轮中多次调用来回答多个问题。
{
  "question": str, # 原始问题文本(必须与待回答问题列表中的文本完全一致)
  "answer": str,   # 基于实际观察到的信息给出的答案
  "necessary_info": str, # 与问题相关的会影响后续执行的上下文信息,可能包括文件内容的格式、样式、颜色约定,应用界面的布局模式,以及不同类别内容之间的对应关系等。
}
</TOOLS>

<OUTPUT>
输出你从截图中观察到的详细信息、分析和计划,然后调用工具。

```
#### 从截图中观察到的信息

...

#### 下一步计划

...
```
</OUTPUT>

<TIPS>
- 优先从当前截图中提取信息,能直接回答的问题立即用 `fill_information` 填写,不要浪费步骤。
- 尝试一次操作同时获取多个问题的答案(如打开文件既能看到结构又能看到内容)。
- 如果截图与上一张相同,说明操作没有生效,换一种方式。
- 剩余步骤有限,优先回答最容易获取的问题;跳过在预算内无法获取的问题。
</TIPS>

<SITUATION>

## 1. 待回答问题
## 确认 LibreOffice Calc 底部工作表标签的准确名称(是 'Sheet1' 还是 'Sheet 1')
**回答**: 尚未回答


## 确认是否存在名为 'Sheet2' 的工作表标签
**回答**: 尚未回答


## 2. 上一次的决策

### 2.1. 上一次的观察和思考


### 2.2. 上一次的操作
[]

## 3. 屏幕截图
## 3.1 最新屏幕状态(上一次操作后,未压缩)

inline base64 image ~423KB

## 4. 上一次操作的前 5 步操作简述
暂无历史步骤

</SITUATION>