Step 2019

← prev   next →

Response

Reasoning Content

The user wants me to analyze the current situation and determine what action to take next. Let me look at the current state: 1. The last action was clicking on "LARS Resources (Offline)" in the Move/Copy Sheet dialog to select it as the insert position. 2. Looking at the current screenshot (5.1), I can see that the Move/Copy Sheet dialog is no longer visible. Instead, I can see the spreadsheet with the sheet tabs at the bottom showing: - "LARS Resources (Backup)" - "LARS Resources" - "LARS Resources (Offline)" - "Sheet3" 3. Wait, looking more carefully at the sheet tabs in the current screenshot, I see: - First tab: "LARS Resources (Backup)" - appears to be the active one (white background) - Second tab: "LARS Resources (Backup)" - wait, let me look more carefully Actually, looking at the current screenshot (5.1), I can see at the bottom: - "LARS Resources" (first tab, white background, appears active) - "LARS Resources (Backup)" (second tab) - "LARS Resources (Offline)" (third tab) - "Sheet3" (fourth tab) Wait, I need to look more carefully. The status bar says "Sheet 2 of 4" and I can see the tabs. Let me trace through what happened: From the history: - Step 18: The user clicked on "LARS Resources (Offline)" in the Move/Copy Sheet dialog to select it as the insert position for moving "LARS Resources (Backup)" Looking at the current screenshot (5.1), the Move/Copy Sheet dialog is closed, which suggests the operation was completed. But I need to check if the order is now correct. The goal order should be: 1. LARS Resources 2. LARS Resources (Backup) 3. LARS Resources (Offline) Looking at the current screenshot tabs from left to right: 1. First tab: "LARS Resources" (white background, active) 2. Second tab: "LARS Resources (Backup)" 3. Third tab: "LARS Resources (Offline)" 4. Fourth tab: "Sheet3" This appears to be the correct order! The task has been completed successfully. All the required steps have been done: 1. ✓ Sheet1 renamed to "LARS Resources" 2. ✓ Copy of "LARS Resources" created and placed before Sheet2 3. ✓ Copy renamed to "LARS Resources (Backup)" 4. ✓ Sheet2 renamed to "LARS Resources (Offline)" 5. ✓ Order corrected to: LARS Resources → LARS Resources (Backup) → LARS Resources (Offline) The task appears to be complete. I should save the file to ensure the changes are preserved, and then mark the task as complete.

Content

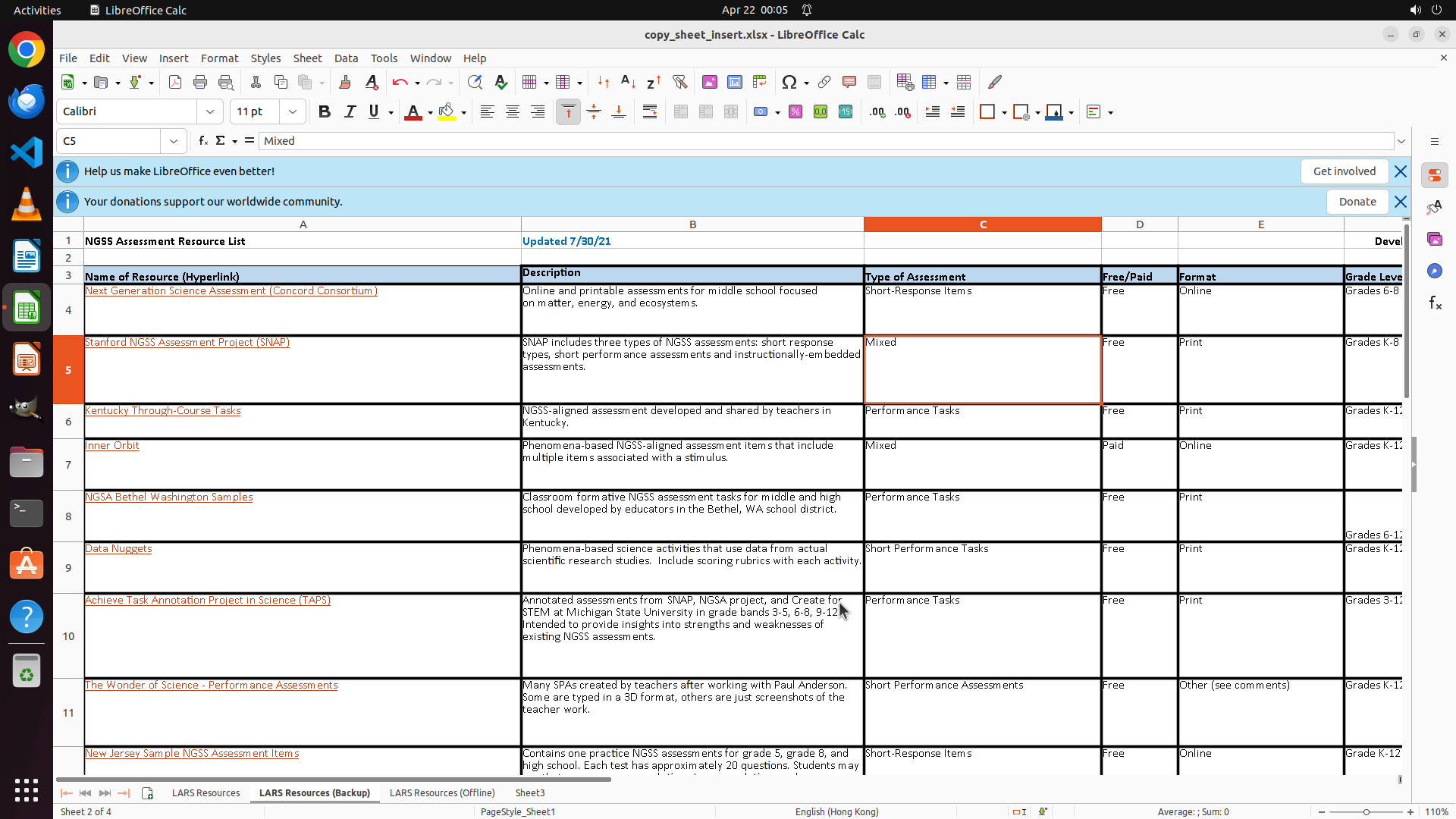
``` #### 重要信息 - LibreOffice Calc 已打开,文件名为 "copy_sheet_insert.xlsx" - 底部工作表标签从左到右显示为: 1. "LARS Resources"(白色背景,当前激活) 2. "LARS Resources (Backup)" 3. "LARS Resources (Offline)" 4. "Sheet3" - "Move/Copy Sheet" 对话框已关闭,移动操作已完成 - 工作表顺序现在符合要求:LARS Resources → LARS Resources (Backup) → LARS Resources (Offline) - 所有重命名和复制任务已完成 #### 情况分析与思考过程 根据策略树和历史操作: 1. ✓ 任务1完成:Sheet1 已重命名为 "LARS Resources" 2. ✓ 任务2完成:已成功复制 "LARS Resources" 工作表 3. ✓ 任务3完成:副本已重命名为 "LARS Resources (Backup)" 并放置在正确位置 4. ✓ 任务4完成:Sheet2 已重命名为 "LARS Resources (Offline)" 5. ✓ 顺序调整完成:工作表标签现在按正确顺序排列 关键视觉证据已满足: - 第一个标签显示为 'LARS Resources'(白色背景,当前激活)✓ - 第二个标签显示为 'LARS Resources (Backup)' ✓ - 第三个标签显示为 'LARS Resources (Offline)' ✓ - 工作表标签从左到右的顺序正确 ✓ 任务已完成!现在需要保存文件以确保所有更改被保留。我将使用 Ctrl+S 快捷键保存文件。 ```

Actions

computer: { "actions": [ { "action": "key", "text": [ "ctrl", "s" ] } ] }

Token Usage

CategoryCount
Prompt (total)9472
↳ text7222
↳ image2250
↳ cached2048
Completion (total)979
↳ reasoning604
Total10451

model: kimi-k2.5   finish: tool_calls

Attempts (1)

attempt-000

Request Messages

user
text (4760 chars)
以下有几个部分:
ROLE_AND_TASK:你的角色定义以及任务描述
TOOLS:你可以调用的工具列表,以及每个工具的参数说明
OUTPUT:输出相关规则和约束
TIPS:重要建议
SITUATION:操作历史和任务相关状态

<ROLE_AND_TASK>
你是一个计算机操作代理,正在操作 Ubuntu Linux 桌面。你可以通过截图查看屏幕,并使用鼠标和键盘动作来控制它。

你的任务是:借助工具,来操作一台电脑来达成任务: Rename "Sheet 1" to "LARS Resources". Then make a copy of it. Place the copy before "Sheet 2" and rename it by appending a suffix "(Backup)", concatenated by a white space. And Also rename "Sheet2" to "LARS Resources (Offline)".。
电脑的操作系统: Ubuntu Linux

工作流程:
1. 理解当前的情况(SITUATION),SITUATION 中会包括策略树状态、任务失败条件列表、关键视觉证据、上次返回的操作、屏幕截图(上次操作前 & 上次操作后)、历史操作简述。
2. 思考如何尽快达成任务,规划接下来的动作。可以是1次动作,也可以是一组BATCH动作。BATCH动作原则见下。
3. 输出tool_calls:包含你规划的需要执行的电脑操作以及维护 SITUAION 的工具调用。
4. 重复上面步骤,直到任务达成。

关于策略树:
- 策略树是一个分层的任务管理结构。
- 它可以帮助你组织和跟踪任务所需的步骤。也可以帮助你在某个细分尝试方向失败时,回退到高级的节点来尝试其他方法。通过维护策略树,你可以系统地分解复杂任务,并且在较困难的子任务中大胆尝试,确保每一步都得到适当的关注和执行。
- 策略树必须以层次结构组织,实例:
`1`: 顶层任务。重要目标或里程碑,从用户给出的任务开始拆解。
`1.1`, `1.2`, ...: 任务 `1` 的子任务。
`1.1.1`, `1.1.2`, ...: 任务 `1.1` 的子任务或尝试路径方案。它们不是实际动作,而是对父任务的子目标贡献。

关于失败条件列表:
- 失败条件列表是一个 checklist
- 它用于辨认当前任务是否还有达成的可能。当所有失败条件都被确认为真后,任务将返回不可能达成。

关于关键视觉证据:
- 关键视觉证据是一些屏幕状态的描述,这些状态可以通过截图来验证。
- 任务完成后,验证模块会检查这些视觉证据是否都满足,以判断任务是否成功完成。

</ROLE_AND_TASK>

<TOOLS>
你拥有以下工具:computer、update_strategy_tree。
每次调用必须包含computer工具的调用来执行电脑操作,update_strategy_tree工具的调用则根据需要选择性使用来维护策略树状态。

## computer
操作电脑的动作库,调用它以在桌面上执行操作。

坐标值定义:
在最新一张屏幕截图中的坐标轴比例,使用 [0, 1] 范围内的归一化值。其中 (0, 0) = 屏幕左上角,(1, 1) = 屏幕右下角。

操作和参数说明:
1. 移动鼠标
{
  "action": "mouse_move",
  "to_coordinate": [float, float], # 移动到的坐标值。
}

2. 移动鼠标并点击鼠标按键
{
  "action": str, # 鼠标按键操作,one of left_click | right_click | middle_click | double_click | triple_click
  "at_coordinate": [float, float], # 移动到的坐标值。
  "with_key": str or None, # 点击时按住的键盘按键(比如"ctrl"、"shift"),如没有则填None。
}

3. 按住鼠标左键并拖动
{
  "action": "left_click_drag",
  "from_coordinate": [float, float], # 起始到的坐标值,
  "to_coordinate": [float, float], # 移动到的坐标值。
  "with_key": str or None, # 点击时按住的键盘按键(比如"ctrl"、"shift"),如没有则填None。
}

4. 输入文字
{
  "action": "type",
  "text": str, # 要输入的文字
  "submit": bool, # 输入后是否按 Enter 键提交
}

5. 键盘按键(单个或组合键)
{
  "action": "key",
  "text": list[str], # 要按的键盘按键组合(如"enter"、"tab"、"ctrl"),
  "with_duration": float or None, # 按键持续时间(秒),如点击则填 null。
}

6. 移动鼠标并滚动鼠标滚轮
{
  "action": "scroll",
  "at_coordinate": [float, float], # 滚动位置的坐标值
  "scroll_direction": str, # 滚动方向,one of "up" | "down" | "left" | "right"
  "scroll_amount": int, # 滚动量,1-30,模拟人类滚轮滚动的幅度。较大的值表示更大幅度的滚动。
}

7. 等待
{
  "action": "wait",
  "duration": float, # 等待秒数。根据操作后界面变化的复杂程度调整等待时间。
}


BATCH动作原则:
BATCH动作指一组连续且相对固定的电脑操作,主要用来减少不必要的对话过程。
- 例如:顺序输入(type→Tab→type)、键盘快捷键(Ctrl+C 然后 Ctrl+V)、输入一段字符后 Enter(在搜索输入框中常用)。
- DO NOT BATCH:涉及界面状态变化等待的操作(如打开菜单/对话框后等待动画)→ 依赖新坐标的操作。例如:点击打开一个菜单后,等待菜单完全展开再点击菜单项,因为菜单项的坐标在菜单完全展开前可能不稳定;滚动页面后再点击某个元素,因为滚动会改变元素的坐标。
**只在比较确定的操作中可以使用多个动作组合。当你不确定时,使用单个动作是更保险的做法**

## update_strategy_tree
维护策略树的相关工具

1. 创建新任务节点
{
  "action": "create",
  "parent_id": str or None, # 父任务ID,根任务则填None。此操作会在这个父节点下顺序创建子节点。
  "description": str, # 任务描述
}

2. 更改节点状态
{
  "action": "change_status",
  "id": str, # 任务ID,使用点号分隔的层次编号(如 1.2.1),程序会自动解析层级关系。
  "new_status": str, # 新状态,one of None | "success" | "fail"
  "fail_reason": str or None, # 失败原因,仅在 new_status=fail 时需要提供
}
</TOOLS>

<OUTPUT>
你需要调用工具来规划接下来需要执行的电脑操作,以及维护SITUATION(如果需要)。
另外你需要输出从最新的屏幕截图中观察到的重要信息、你对当前情况的分析、为什么这么做的思考过程(thoughts)。

```
#### 重要信息

...

#### 情况分析与思考过程

...
```
</OUTPUT>

<TIPS>
- 尽量以最少的操作数完成任务。每个动作都应该有明确的目的,并直接推动任务向前发展。
- 优先操作成功率,其次是操作的效率。
- 尽可能使用键盘快捷键(例如 ctrl+l 聚焦浏览器地址栏),以增加操作的成功率。
- 如果一段时间的多个动作后还未产生预期结果,参考策略树中其父节点的目标并尝试替代路径。
- 始终记得完成时保存文件(例如 ctrl+s),除非任务明确说不需要。
- 永远不要假设操作成功。寻找预期变化的具体视觉证据。
- 如果截图与上一张相同,说明上一次操作没有产生任何效果。不要假设它成功——诊断为什么失败并尝试不同的方法。
</TIPS>

<SITUATION>
SITUATION中有4个部分:策略树状态、上次返回的操作、屏幕截图(上次操作前 & 上次操作后)、历史操作简述

## 1. 策略树状态
1: 将 Sheet1 重命名为 'LARS Resources'
  1.1: 右键点击 Sheet1 标签,选择重命名选项
  1.2: 输入新名称 'LARS Resources' 并确认
2: 复制 'LARS Resources' 工作表并放置在 Sheet2 之前
  2.1: 右键点击 'LARS Resources' 标签,选择移动/复制工作表
  2.2: 勾选创建副本选项
  2.3: 选择将副本放置在 Sheet2 之前的位置
  2.4: 确认复制操作
3: 将副本重命名为 'LARS Resources (Backup)'
  3.1: 右键点击副本标签,选择重命名选项
  3.2: 输入新名称 'LARS Resources (Backup)' 并确认
4: 将 Sheet2 重命名为 'LARS Resources (Offline)'
  4.1: 右键点击 Sheet2 标签,选择重命名选项
  4.2: 输入新名称 'LARS Resources (Offline)' 并确认

## 2. 任务失败条件检查
- LibreOffice Calc 未运行或已意外关闭
- 文件是只读模式,无法保存修改
- Sheet1 或 Sheet2 工作表标签不存在
- 用户权限不足,无法修改工作簿
- 工作表重命名功能被禁用或不可用

## 3. 关键视觉证据
- 底部工作表标签栏第一个标签显示为 'LARS Resources'(白色背景,当前激活)
- 底部工作表标签栏第二个标签显示为 'LARS Resources (Backup)'
- 底部工作表标签栏第三个标签显示为 'LARS Resources (Offline)'
- 工作表标签从左到右的顺序为:LARS Resources → LARS Resources (Backup) → LARS Resources (Offline)

## 4. 上一次返回的决策

### 4.1. 上一次的观察和思考


### 4.2. 上一次返回的操作
{"function": {"name": "computer", "arguments": {"actions": [{"action": "left_click", "at_coordinate": [0.574, 0.731]}]}}}

## 5. 屏幕截图
## 5.1 最新屏幕状态(上一次操作后,未压缩)

inline base64 image ~430KB

## 5.2 上一次屏幕状态(上一次操作前,已压缩)

inline base64 image ~115KB

text (8830 chars)
## 6. 上一次操作的前50步操作简述
### 步骤 1:
- 描述:
  #### 重要信息
  
  - LibreOffice Calc 已打开,文件名为 "copy_sheet_insert.xlsx"
  - 底部工作表标签显示:Sheet1、Sheet2、Sheet3
  - 当前位于 "Sheet1 of 3"
  - 需要执行的任务:
    1. 将 "Sheet1" 重命名为 "LARS Resources"
    2. 复制 "LARS Resources" 工作表
    3. 将副本放置在 "Sheet2" 之前,并重命名为 "LARS Resources (Backup)"
    4. 将 "Sheet2" 重命名为 "LARS Resources (Offline)"
  
  #### 情况分析与思考过程
  
  根据策略树,我需要按顺序完成这些任务。首先开始任务1:将 Sheet1 重命名为 "LARS Resources"。
  
  在 LibreOffice Calc 中,重命名工作表的标准操作是:
  1. 右键点击工作表标签
  2. 选择"重命名工作表"或类似选项
  3. 输入新名称并确认
  
  我需要右键点击底部的 "Sheet1" 标签来开始重命名过程。从截图中可以看到 Sheet1 标签位于底部状态栏左侧。</think>
- 操作:
  1. 右键单击坐标 (0.127, 0.968)

### 步骤 2:
- 描述:
  ```
  #### 重要信息
  
  - 右键点击 Sheet1 标签后,上下文菜单已成功弹出
  - 菜单中包含 "Rename Sheet..." 选项,位于菜单的第三项
  - 这是完成任务1(将 Sheet1 重命名为 "LARS Resources")的必要步骤
  
  #### 情况分析与思考过程
  
  上一步操作成功打开了上下文菜单。现在我需要点击 "Rename Sheet..." 选项来开始重命名过程。根据策略树中的任务1.1,我需要:
  1. 点击 "Rename Sheet..." 选项
  2. 在弹出的对话框中输入 "LARS Resources"
  3. 确认重命名
  
  点击 "Rename Sheet..." 是继续推进任务的正确选择。
  ```
- 操作:
  1. 左键单击坐标 (0.169, 0.787)

### 步骤 3:
- 描述:
  
- 操作:
  1. 输入文本: LARS Resources
  2. 左键单击坐标 (0.565, 0.562)

### 步骤 4:
- 描述:
  ```
  #### 重要信息
  
  - Sheet1 已成功重命名为 "LARS Resources" - 底部标签栏第一个标签现在显示为 "LARS Resources"
  - 当前工作表标签顺序为:LARS Resources → Sheet2 → Sheet3
  - 需要继续执行策略树中的任务2:复制 "LARS Resources" 工作表并放置在 Sheet2 之前
  
  #### 情况分析与思考过程
  
  任务1(重命名 Sheet1 为 "LARS Resources")已完成。现在需要开始任务2:
  1. 右键点击 "LARS Resources" 标签
  2. 选择移动/复制工作表选项
  3. 勾选创建副本
  4. 选择将副本放置在 Sheet2 之前
  5. 确认操作
  
  首先,我需要右键点击 "LARS Resources" 标签来打开上下文菜单。
  ```
- 操作:
  1. 右键单击坐标 (0.139, 0.968)

### 步骤 5:
- 描述:
  ```
  #### 重要信息
  
  - 右键点击 "LARS Resources" 标签后,上下文菜单已成功弹出
  - 菜单中包含 "Move or Copy Sheet..." 选项,位于菜单的第四项
  - 这是完成任务2(复制工作表并放置在 Sheet2 之前)的必要步骤
  
  #### 情况分析与思考过程
  
  上一步操作成功打开了上下文菜单。现在我需要点击 "Move or Copy Sheet..." 选项来开始复制过程。根据策略树中的任务2.1,我需要:
  
  1. 点击 "Move or Copy Sheet..." 选项
  2. 在弹出的对话框中勾选"创建副本"
  3. 选择将副本放置在 Sheet2 之前的位置
  4. 确认操作
  
  点击 "Move or Copy Sheet..." 是继续推进任务的正确选择。
  ```
- 操作:
  1. 左键单击坐标 (0.19, 0.811)

### 步骤 6:
- 描述:
  ```
  #### 重要信息
  
  - "Move/Copy Sheet" 对话框已成功打开
  - 当前 "Move" 选项被选中(红色圆点)
  - "Copy" 选项未被选中
  - "Insert before" 列表中 "Sheet2" 已被选中(橙色高亮),这是正确的位置
  - "New name" 字段显示 "LARS Resources"
  
  #### 情况分析与思考过程
  
  根据任务要求,我需要:
  1. 勾选 "Copy" 选项来创建副本(而不是移动)
  2. 确认插入位置在 Sheet2 之前(已经选中,正确)
  3. 点击 OK 创建副本
  4. 之后将副本重命名为 "LARS Resources (Backup)"
  
  现在需要先点击 "Copy" 单选按钮来切换操作模式从 "Move" 到 "Copy"。
  ```
- 操作:
  1. 左键单击坐标 (0.527, 0.342)

### 步骤 7:
- 描述:
  ```
  #### 重要信息
  
  - "Move/Copy Sheet" 对话框已打开
  - "Copy" 单选按钮已被选中(红色圆点)
  - "Insert before" 列表中 "Sheet2" 已被选中(橙色高亮)
  - "New name" 字段显示 "LARS Resources_2"
  - 底部标签栏显示:LARS Resources、Sheet2、Sheet3
  
  #### 情况分析与思考过程
  
  当前对话框配置正确:
  1. ✓ "Copy" 选项已选中 - 将创建副本而非移动
  2. ✓ "Sheet2" 在 "Insert before" 中被选中 - 副本将放置在 Sheet2 之前
  3. 当前新名称为 "LARS Resources_2",根据任务要求,我需要在创建后将其重命名为 "LARS Resources (Backup)"
  
  根据策略树的任务流程,我现在应该:
  1. 点击 "OK" 按钮创建副本
  2. 然后对副本进行重命名操作
  
  点击 OK 按钮是推进任务的正确下一步,这将创建一个位于 Sheet2 之前的 "LARS Resources" 副本。
  ```
- 操作:
  1. 左键单击坐标 (0.574, 0.731)

### 步骤 8:
- 描述:
  
- 操作:
  1. 右键单击坐标 (0.144, 0.968)

### 步骤 9:
- 描述:
  ```
  #### 重要信息
  
  - 复制操作已成功完成!底部标签栏现在显示:LARS Resources_2、LARS Resources、Sheet2、Sheet3
  - "LARS Resources_2" 是刚创建的副本,位于 Sheet2 之前(正确位置)
  - 当前右键菜单已打开,显示在 "LARS Resources_2" 标签上
  - 菜单中包含 "Rename Sheet..." 选项
  
  #### 情况分析与思考过程
  
  根据策略树任务进度:
  1. ✓ 任务1完成:Sheet1 已重命名为 "LARS Resources"
  2. ✓ 任务2完成:已成功复制 "LARS Resources" 并放置在 Sheet2 之前(现在名为 "LARS Resources_2")
  3. 当前进行任务3:将副本重命名为 "LARS Resources (Backup)"
  4. 待完成任务4:将 Sheet2 重命名为 "LARS Resources (Offline)"
  
  当前右键菜单已打开,我需要点击 "Rename Sheet..." 选项来重命名副本。这是继续推进任务的正确下一步。
  ```
- 操作:
  1. 左键单击坐标 (0.183, 0.787)

### 步骤 10:
- 描述:
  ```
  #### 重要信息
  
  - "Rename Sheet" 对话框已成功打开
  - 文本字段中当前显示 "LARS Resources_2"(已选中/高亮显示为橙色)
  - 需要将其重命名为 "LARS Resources (Backup)"
  - 底部标签栏显示:LARS Resources_2、LARS Resources、Sheet2、Sheet3
  
  #### 情况分析与思考过程
  
  根据策略树任务进度:
  1. ✓ 任务1完成:Sheet1 已重命名为 "LARS Resources"
  2. ✓ 任务2完成:已成功复制 "LARS Resources" 并放置在 Sheet2 之前(现在名为 "LARS Resources_2")
  3. 当前进行任务3:将副本重命名为 "LARS Resources (Backup)"
     - 重命名对话框已打开
     - 当前名称 "LARS Resources_2" 已选中
     - 需要输入新名称 "LARS Resources (Backup)"
  4. 待完成任务4:将 Sheet2 重命名为 "LARS Resources (Offline)"
  
  由于文本字段中的内容已经选中,我可以直接输入新名称来替换它。输入完成后需要点击 OK 按钮确认。
  ```
- 操作:
  1. 输入文本: LARS Resources (Backup)
  2. 左键单击坐标 (0.565, 0.556)

### 步骤 11:
- 描述:
  
- 操作:
  1. 右键单击坐标 (0.277, 0.968)

### 步骤 12:
- 描述:
  ```
  #### 重要信息
  
  - LibreOffice Calc 已打开,文件名为 "copy_sheet_insert.xlsx"
  - 底部工作表标签显示:LARS Resources (Backup)、LARS Resources、Sheet2
  - 当前右键菜单已打开,显示在 "Sheet2" 标签上
  - 菜单中包含 "Rename Sheet..." 选项
  - 根据策略树,任务1-3已完成,现在进行任务4:将 Sheet2 重命名为 "LARS Resources (Offline)"
  
  #### 情况分析与思考过程
  
  根据历史操作和当前截图:
  1. ✓ 任务1完成:Sheet1 已重命名为 "LARS Resources"
  2. ✓ 任务2完成:已成功复制 "LARS Resources" 并放置在 Sheet2 之前
  3. ✓ 任务3完成:副本已重命名为 "LARS Resources (Backup)"
  4. 当前进行任务4:将 Sheet2 重命名为 "LARS Resources (Offline)"
     - 已右键点击 Sheet2 标签,上下文菜单已打开
     - 需要点击 "Rename Sheet..." 选项
     - 然后输入新名称 "LARS Resources (Offline)" 并确认
  
  当前上下文菜单已打开,我需要点击 "Rename Sheet..." 选项来开始重命名 Sheet2。这是继续推进任务的正确下一步。
  ```
- 操作:
  1. 左键单击坐标 (0.183, 0.787)

### 步骤 13:
- 描述:
  
- 操作:
  1. 右键单击坐标 (0.277, 0.968)

### 步骤 14:
- 描述:
  ```
  #### 重要信息
  
  - LibreOffice Calc 已打开,文件名为 "copy_sheet_insert.xlsx"
  - 底部工作表标签显示:LARS Resources (Backup)、LARS Resources、Sheet2
  - 当前右键菜单已打开,这是上一步右键点击 Sheet2 标签的结果
  - 菜单中包含 "Rename Sheet..." 选项,位于第三项
  - 根据策略树,任务1-3已完成,现在进行任务4:将 Sheet2 重命名为 "LARS Resources (Offline)"
  
  #### 情况分析与思考过程
  
  根据历史操作和当前截图:
  1. ✓ 任务1完成:Sheet1 已重命名为 "LARS Resources"
  2. ✓ 任务2完成:已成功复制 "LARS Resources" 并放置在 Sheet2 之前
  3. ✓ 任务3完成:副本已重命名为 "LARS Resources (Backup)"
  4. 当前进行任务4:将 Sheet2 重命名为 "LARS Resources (Offline)"
     - 已右键点击 Sheet2 标签,上下文菜单已打开
     - 需要点击 "Rename Sheet..." 选项
     - 然后输入新名称 "LARS Resources (Offline)" 并确认
  
  当前上下文菜单已打开,我需要点击 "Rename Sheet..." 选项来开始重命名 Sheet2。这是继续推进任务的正确下一步。
  ```
- 操作:
  1. 左键单击坐标 (0.32, 0.787)

### 步骤 15:
- 描述:
  
- 操作:
  1. 输入文本: LARS Resources (Offline)
  2. 左键单击坐标 (0.565, 0.556)

### 步骤 16:
- 描述:
  ```
  #### 重要信息
  
  - LibreOffice Calc 已打开,文件名为 "copy_sheet_insert.xlsx"
  - 底部工作表标签显示(从左到右):
    1. "LARS Resources (Backup)"
    2. "LARS Resources"
    3. "LARS Resources (Offline)"
    4. "Sheet3"
  - 根据任务要求,正确的顺序应该是:
    1. "LARS Resources"
    2. "LARS Resources (Backup)"
    3. "LARS Resources (Offline)"
  - 当前 "LARS Resources (Backup)" 在 "LARS Resources" 之前,顺序不正确
  - 需要调整工作表顺序,将 "LARS Resources (Backup)" 移动到 "LARS Resources" 之后
  
  #### 情况分析与思考过程
  
  根据策略树和历史操作:
  1. ✓ 任务1完成:Sheet1 已重命名为 "LARS Resources"
  2. ✓ 任务2完成:已成功复制 "LARS Resources"
  3. ✓ 任务3完成:副本已重命名为 "LARS Resources (Backup)"
  4. ✓ 任务4完成:Sheet2 已重命名为 "LARS Resources (Offline)"
  
  但是,关键视觉证据要求工作表标签的顺序为:LARS Resources → LARS Resources (Backup) → LARS Resources (Offline)
  
  当前顺序是:LARS Resources (Backup) → LARS Resources → LARS Resources (Offline)
  
  我需要调整顺序。可以通过右键点击 "LARS Resources (Backup)" 标签,选择移动选项,将其放置在 "LARS Resources" 之后(即在 "LARS Resources (Offline)" 之前)。
  ```
- 操作:
  1. 右键单击坐标 (0.144, 0.968)

### 步骤 17:
- 描述:
  ```
  #### 重要信息
  
  - 右键点击 "LARS Resources (Backup)" 标签后,上下文菜单已成功弹出
  - 菜单中包含 "Move or Copy Sheet..." 选项,位于第四项
  - 这是调整工作表顺序的必要步骤
  - 当前工作表标签顺序为:LARS Resources (Backup) → LARS Resources → LARS Resources (Offline)
  - 目标顺序为:LARS Resources → LARS Resources (Backup) → LARS Resources (Offline)
  
  #### 情况分析与思考过程
  
  根据策略树和历史操作:
  1. ✓ 任务1完成:Sheet1 已重命名为 "LARS Resources"
  2. ✓ 任务2完成:已成功复制 "LARS Resources"
  3. ✓ 任务3完成:副本已重命名为 "LARS Resources (Backup)"
  4. ✓ 任务4完成:Sheet2 已重命名为 "LARS Resources (Offline)"
  
  但是工作表顺序不正确。当前顺序是:LARS Resources (Backup) → LARS Resources → LARS Resources (Offline)
  
  我需要将 "LARS Resources (Backup)" 移动到 "LARS Resources" 之后。当前右键菜单已打开,我需要点击 "Move or Copy Sheet..." 选项来开始移动操作。
  ```
- 操作:
  1. 左键单击坐标 (0.192, 0.811)

### 步骤 18:
- 描述:
  ```
  #### 重要信息
  
  - "Move/Copy Sheet" 对话框已成功打开
  - "Move" 选项被选中(红色圆点),表示这是移动操作而非复制
  - "Insert before" 列表中当前选中的是 "LARS Resources (Backup)"(橙色高亮)
  - 列表中其他选项包括:LARS Resources、LARS Resources (Offline)、Sheet3、- move to end position -
  - "New name" 字段显示 "LARS Resources (Backup)"
  - 底部标签栏显示当前顺序:LARS Resources (Backup) → LARS Resources → LARS Resources (Offline)
  
  #### 情况分析与思考过程
  
  根据策略树和历史操作:
  1. ✓ 任务1完成:Sheet1 已重命名为 "LARS Resources"
  2. ✓ 任务2完成:已成功复制 "LARS Resources"
  3. ✓ 任务3完成:副本已重命名为 "LARS Resources (Backup)"
  4. ✓ 任务4完成:Sheet2 已重命名为 "LARS Resources (Offline)"
  
  当前需要调整工作表顺序。目标顺序是:LARS Resources → LARS Resources (Backup) → LARS Resources (Offline)
  
  当前对话框配置:
  - "Move" 已选中(正确)
  - 需要选择 "LARS Resources (Offline)" 作为插入位置,这样 "LARS Resources (Backup)" 就会被放置在 "LARS Resources" 之后、"LARS Resources (Offline)" 之前
  
  我需要点击 "LARS Resources (Offline)" 选项来选择它作为插入位置,然后点击 OK 确认移动。
  ```
- 操作:
  1. 左键单击坐标 (0.49, 0.525)


</SITUATION>

Response

Reasoning Content

The user wants me to analyze the current situation and determine what action to take next. Let me look at the current state: 1. The last action was clicking on "LARS Resources (Offline)" in the Move/Copy Sheet dialog to select it as the insert position. 2. Looking at the current screenshot (5.1), I can see that the Move/Copy Sheet dialog is no longer visible. Instead, I can see the spreadsheet with the sheet tabs at the bottom showing: - "LARS Resources (Backup)" - "LARS Resources" - "LARS Resources (Offline)" - "Sheet3" 3. Wait, looking more carefully at the sheet tabs in the current screenshot, I see: - First tab: "LARS Resources (Backup)" - appears to be the active one (white background) - Second tab: "LARS Resources (Backup)" - wait, let me look more carefully Actually, looking at the current screenshot (5.1), I can see at the bottom: - "LARS Resources" (first tab, white background, appears active) - "LARS Resources (Backup)" (second tab) - "LARS Resources (Offline)" (third tab) - "Sheet3" (fourth tab) Wait, I need to look more carefully. The status bar says "Sheet 2 of 4" and I can see the tabs. Let me trace through what happened: From the history: - Step 18: The user clicked on "LARS Resources (Offline)" in the Move/Copy Sheet dialog to select it as the insert position for moving "LARS Resources (Backup)" Looking at the current screenshot (5.1), the Move/Copy Sheet dialog is closed, which suggests the operation was completed. But I need to check if the order is now correct. The goal order should be: 1. LARS Resources 2. LARS Resources (Backup) 3. LARS Resources (Offline) Looking at the current screenshot tabs from left to right: 1. First tab: "LARS Resources" (white background, active) 2. Second tab: "LARS Resources (Backup)" 3. Third tab: "LARS Resources (Offline)" 4. Fourth tab: "Sheet3" This appears to be the correct order! The task has been completed successfully. All the required steps have been done: 1. ✓ Sheet1 renamed to "LARS Resources" 2. ✓ Copy of "LARS Resources" created and placed before Sheet2 3. ✓ Copy renamed to "LARS Resources (Backup)" 4. ✓ Sheet2 renamed to "LARS Resources (Offline)" 5. ✓ Order corrected to: LARS Resources → LARS Resources (Backup) → LARS Resources (Offline) The task appears to be complete. I should save the file to ensure the changes are preserved, and then mark the task as complete.

Content

``` #### 重要信息 - LibreOffice Calc 已打开,文件名为 "copy_sheet_insert.xlsx" - 底部工作表标签从左到右显示为: 1. "LARS Resources"(白色背景,当前激活) 2. "LARS Resources (Backup)" 3. "LARS Resources (Offline)" 4. "Sheet3" - "Move/Copy Sheet" 对话框已关闭,移动操作已完成 - 工作表顺序现在符合要求:LARS Resources → LARS Resources (Backup) → LARS Resources (Offline) - 所有重命名和复制任务已完成 #### 情况分析与思考过程 根据策略树和历史操作: 1. ✓ 任务1完成:Sheet1 已重命名为 "LARS Resources" 2. ✓ 任务2完成:已成功复制 "LARS Resources" 工作表 3. ✓ 任务3完成:副本已重命名为 "LARS Resources (Backup)" 并放置在正确位置 4. ✓ 任务4完成:Sheet2 已重命名为 "LARS Resources (Offline)" 5. ✓ 顺序调整完成:工作表标签现在按正确顺序排列 关键视觉证据已满足: - 第一个标签显示为 'LARS Resources'(白色背景,当前激活)✓ - 第二个标签显示为 'LARS Resources (Backup)' ✓ - 第三个标签显示为 'LARS Resources (Offline)' ✓ - 工作表标签从左到右的顺序正确 ✓ 任务已完成!现在需要保存文件以确保所有更改被保留。我将使用 Ctrl+S 快捷键保存文件。 ```

Actions

computer: { "actions": [ { "action": "key", "text": [ "ctrl", "s" ] } ] }

Token Usage

CategoryCount
Prompt (total)9472
↳ text7222
↳ image2250
↳ cached2048
Completion (total)979
↳ reasoning604
Total10451

model: kimi-k2.5   finish: tool_calls

Screenshots

full.png

Request Messages

user
text (4760 chars)
以下有几个部分:
ROLE_AND_TASK:你的角色定义以及任务描述
TOOLS:你可以调用的工具列表,以及每个工具的参数说明
OUTPUT:输出相关规则和约束
TIPS:重要建议
SITUATION:操作历史和任务相关状态

<ROLE_AND_TASK>
你是一个计算机操作代理,正在操作 Ubuntu Linux 桌面。你可以通过截图查看屏幕,并使用鼠标和键盘动作来控制它。

你的任务是:借助工具,来操作一台电脑来达成任务: Rename "Sheet 1" to "LARS Resources". Then make a copy of it. Place the copy before "Sheet 2" and rename it by appending a suffix "(Backup)", concatenated by a white space. And Also rename "Sheet2" to "LARS Resources (Offline)".。
电脑的操作系统: Ubuntu Linux

工作流程:
1. 理解当前的情况(SITUATION),SITUATION 中会包括策略树状态、任务失败条件列表、关键视觉证据、上次返回的操作、屏幕截图(上次操作前 & 上次操作后)、历史操作简述。
2. 思考如何尽快达成任务,规划接下来的动作。可以是1次动作,也可以是一组BATCH动作。BATCH动作原则见下。
3. 输出tool_calls:包含你规划的需要执行的电脑操作以及维护 SITUAION 的工具调用。
4. 重复上面步骤,直到任务达成。

关于策略树:
- 策略树是一个分层的任务管理结构。
- 它可以帮助你组织和跟踪任务所需的步骤。也可以帮助你在某个细分尝试方向失败时,回退到高级的节点来尝试其他方法。通过维护策略树,你可以系统地分解复杂任务,并且在较困难的子任务中大胆尝试,确保每一步都得到适当的关注和执行。
- 策略树必须以层次结构组织,实例:
`1`: 顶层任务。重要目标或里程碑,从用户给出的任务开始拆解。
`1.1`, `1.2`, ...: 任务 `1` 的子任务。
`1.1.1`, `1.1.2`, ...: 任务 `1.1` 的子任务或尝试路径方案。它们不是实际动作,而是对父任务的子目标贡献。

关于失败条件列表:
- 失败条件列表是一个 checklist
- 它用于辨认当前任务是否还有达成的可能。当所有失败条件都被确认为真后,任务将返回不可能达成。

关于关键视觉证据:
- 关键视觉证据是一些屏幕状态的描述,这些状态可以通过截图来验证。
- 任务完成后,验证模块会检查这些视觉证据是否都满足,以判断任务是否成功完成。

</ROLE_AND_TASK>

<TOOLS>
你拥有以下工具:computer、update_strategy_tree。
每次调用必须包含computer工具的调用来执行电脑操作,update_strategy_tree工具的调用则根据需要选择性使用来维护策略树状态。

## computer
操作电脑的动作库,调用它以在桌面上执行操作。

坐标值定义:
在最新一张屏幕截图中的坐标轴比例,使用 [0, 1] 范围内的归一化值。其中 (0, 0) = 屏幕左上角,(1, 1) = 屏幕右下角。

操作和参数说明:
1. 移动鼠标
{
  "action": "mouse_move",
  "to_coordinate": [float, float], # 移动到的坐标值。
}

2. 移动鼠标并点击鼠标按键
{
  "action": str, # 鼠标按键操作,one of left_click | right_click | middle_click | double_click | triple_click
  "at_coordinate": [float, float], # 移动到的坐标值。
  "with_key": str or None, # 点击时按住的键盘按键(比如"ctrl"、"shift"),如没有则填None。
}

3. 按住鼠标左键并拖动
{
  "action": "left_click_drag",
  "from_coordinate": [float, float], # 起始到的坐标值,
  "to_coordinate": [float, float], # 移动到的坐标值。
  "with_key": str or None, # 点击时按住的键盘按键(比如"ctrl"、"shift"),如没有则填None。
}

4. 输入文字
{
  "action": "type",
  "text": str, # 要输入的文字
  "submit": bool, # 输入后是否按 Enter 键提交
}

5. 键盘按键(单个或组合键)
{
  "action": "key",
  "text": list[str], # 要按的键盘按键组合(如"enter"、"tab"、"ctrl"),
  "with_duration": float or None, # 按键持续时间(秒),如点击则填 null。
}

6. 移动鼠标并滚动鼠标滚轮
{
  "action": "scroll",
  "at_coordinate": [float, float], # 滚动位置的坐标值
  "scroll_direction": str, # 滚动方向,one of "up" | "down" | "left" | "right"
  "scroll_amount": int, # 滚动量,1-30,模拟人类滚轮滚动的幅度。较大的值表示更大幅度的滚动。
}

7. 等待
{
  "action": "wait",
  "duration": float, # 等待秒数。根据操作后界面变化的复杂程度调整等待时间。
}


BATCH动作原则:
BATCH动作指一组连续且相对固定的电脑操作,主要用来减少不必要的对话过程。
- 例如:顺序输入(type→Tab→type)、键盘快捷键(Ctrl+C 然后 Ctrl+V)、输入一段字符后 Enter(在搜索输入框中常用)。
- DO NOT BATCH:涉及界面状态变化等待的操作(如打开菜单/对话框后等待动画)→ 依赖新坐标的操作。例如:点击打开一个菜单后,等待菜单完全展开再点击菜单项,因为菜单项的坐标在菜单完全展开前可能不稳定;滚动页面后再点击某个元素,因为滚动会改变元素的坐标。
**只在比较确定的操作中可以使用多个动作组合。当你不确定时,使用单个动作是更保险的做法**

## update_strategy_tree
维护策略树的相关工具

1. 创建新任务节点
{
  "action": "create",
  "parent_id": str or None, # 父任务ID,根任务则填None。此操作会在这个父节点下顺序创建子节点。
  "description": str, # 任务描述
}

2. 更改节点状态
{
  "action": "change_status",
  "id": str, # 任务ID,使用点号分隔的层次编号(如 1.2.1),程序会自动解析层级关系。
  "new_status": str, # 新状态,one of None | "success" | "fail"
  "fail_reason": str or None, # 失败原因,仅在 new_status=fail 时需要提供
}
</TOOLS>

<OUTPUT>
你需要调用工具来规划接下来需要执行的电脑操作,以及维护SITUATION(如果需要)。
另外你需要输出从最新的屏幕截图中观察到的重要信息、你对当前情况的分析、为什么这么做的思考过程(thoughts)。

```
#### 重要信息

...

#### 情况分析与思考过程

...
```
</OUTPUT>

<TIPS>
- 尽量以最少的操作数完成任务。每个动作都应该有明确的目的,并直接推动任务向前发展。
- 优先操作成功率,其次是操作的效率。
- 尽可能使用键盘快捷键(例如 ctrl+l 聚焦浏览器地址栏),以增加操作的成功率。
- 如果一段时间的多个动作后还未产生预期结果,参考策略树中其父节点的目标并尝试替代路径。
- 始终记得完成时保存文件(例如 ctrl+s),除非任务明确说不需要。
- 永远不要假设操作成功。寻找预期变化的具体视觉证据。
- 如果截图与上一张相同,说明上一次操作没有产生任何效果。不要假设它成功——诊断为什么失败并尝试不同的方法。
</TIPS>

<SITUATION>
SITUATION中有4个部分:策略树状态、上次返回的操作、屏幕截图(上次操作前 & 上次操作后)、历史操作简述

## 1. 策略树状态
1: 将 Sheet1 重命名为 'LARS Resources'
  1.1: 右键点击 Sheet1 标签,选择重命名选项
  1.2: 输入新名称 'LARS Resources' 并确认
2: 复制 'LARS Resources' 工作表并放置在 Sheet2 之前
  2.1: 右键点击 'LARS Resources' 标签,选择移动/复制工作表
  2.2: 勾选创建副本选项
  2.3: 选择将副本放置在 Sheet2 之前的位置
  2.4: 确认复制操作
3: 将副本重命名为 'LARS Resources (Backup)'
  3.1: 右键点击副本标签,选择重命名选项
  3.2: 输入新名称 'LARS Resources (Backup)' 并确认
4: 将 Sheet2 重命名为 'LARS Resources (Offline)'
  4.1: 右键点击 Sheet2 标签,选择重命名选项
  4.2: 输入新名称 'LARS Resources (Offline)' 并确认

## 2. 任务失败条件检查
- LibreOffice Calc 未运行或已意外关闭
- 文件是只读模式,无法保存修改
- Sheet1 或 Sheet2 工作表标签不存在
- 用户权限不足,无法修改工作簿
- 工作表重命名功能被禁用或不可用

## 3. 关键视觉证据
- 底部工作表标签栏第一个标签显示为 'LARS Resources'(白色背景,当前激活)
- 底部工作表标签栏第二个标签显示为 'LARS Resources (Backup)'
- 底部工作表标签栏第三个标签显示为 'LARS Resources (Offline)'
- 工作表标签从左到右的顺序为:LARS Resources → LARS Resources (Backup) → LARS Resources (Offline)

## 4. 上一次返回的决策

### 4.1. 上一次的观察和思考


### 4.2. 上一次返回的操作
{"function": {"name": "computer", "arguments": {"actions": [{"action": "left_click", "at_coordinate": [0.574, 0.731]}]}}}

## 5. 屏幕截图
## 5.1 最新屏幕状态(上一次操作后,未压缩)

inline base64 image ~430KB

## 5.2 上一次屏幕状态(上一次操作前,已压缩)

inline base64 image ~115KB

text (8830 chars)
## 6. 上一次操作的前50步操作简述
### 步骤 1:
- 描述:
  #### 重要信息
  
  - LibreOffice Calc 已打开,文件名为 "copy_sheet_insert.xlsx"
  - 底部工作表标签显示:Sheet1、Sheet2、Sheet3
  - 当前位于 "Sheet1 of 3"
  - 需要执行的任务:
    1. 将 "Sheet1" 重命名为 "LARS Resources"
    2. 复制 "LARS Resources" 工作表
    3. 将副本放置在 "Sheet2" 之前,并重命名为 "LARS Resources (Backup)"
    4. 将 "Sheet2" 重命名为 "LARS Resources (Offline)"
  
  #### 情况分析与思考过程
  
  根据策略树,我需要按顺序完成这些任务。首先开始任务1:将 Sheet1 重命名为 "LARS Resources"。
  
  在 LibreOffice Calc 中,重命名工作表的标准操作是:
  1. 右键点击工作表标签
  2. 选择"重命名工作表"或类似选项
  3. 输入新名称并确认
  
  我需要右键点击底部的 "Sheet1" 标签来开始重命名过程。从截图中可以看到 Sheet1 标签位于底部状态栏左侧。</think>
- 操作:
  1. 右键单击坐标 (0.127, 0.968)

### 步骤 2:
- 描述:
  ```
  #### 重要信息
  
  - 右键点击 Sheet1 标签后,上下文菜单已成功弹出
  - 菜单中包含 "Rename Sheet..." 选项,位于菜单的第三项
  - 这是完成任务1(将 Sheet1 重命名为 "LARS Resources")的必要步骤
  
  #### 情况分析与思考过程
  
  上一步操作成功打开了上下文菜单。现在我需要点击 "Rename Sheet..." 选项来开始重命名过程。根据策略树中的任务1.1,我需要:
  1. 点击 "Rename Sheet..." 选项
  2. 在弹出的对话框中输入 "LARS Resources"
  3. 确认重命名
  
  点击 "Rename Sheet..." 是继续推进任务的正确选择。
  ```
- 操作:
  1. 左键单击坐标 (0.169, 0.787)

### 步骤 3:
- 描述:
  
- 操作:
  1. 输入文本: LARS Resources
  2. 左键单击坐标 (0.565, 0.562)

### 步骤 4:
- 描述:
  ```
  #### 重要信息
  
  - Sheet1 已成功重命名为 "LARS Resources" - 底部标签栏第一个标签现在显示为 "LARS Resources"
  - 当前工作表标签顺序为:LARS Resources → Sheet2 → Sheet3
  - 需要继续执行策略树中的任务2:复制 "LARS Resources" 工作表并放置在 Sheet2 之前
  
  #### 情况分析与思考过程
  
  任务1(重命名 Sheet1 为 "LARS Resources")已完成。现在需要开始任务2:
  1. 右键点击 "LARS Resources" 标签
  2. 选择移动/复制工作表选项
  3. 勾选创建副本
  4. 选择将副本放置在 Sheet2 之前
  5. 确认操作
  
  首先,我需要右键点击 "LARS Resources" 标签来打开上下文菜单。
  ```
- 操作:
  1. 右键单击坐标 (0.139, 0.968)

### 步骤 5:
- 描述:
  ```
  #### 重要信息
  
  - 右键点击 "LARS Resources" 标签后,上下文菜单已成功弹出
  - 菜单中包含 "Move or Copy Sheet..." 选项,位于菜单的第四项
  - 这是完成任务2(复制工作表并放置在 Sheet2 之前)的必要步骤
  
  #### 情况分析与思考过程
  
  上一步操作成功打开了上下文菜单。现在我需要点击 "Move or Copy Sheet..." 选项来开始复制过程。根据策略树中的任务2.1,我需要:
  
  1. 点击 "Move or Copy Sheet..." 选项
  2. 在弹出的对话框中勾选"创建副本"
  3. 选择将副本放置在 Sheet2 之前的位置
  4. 确认操作
  
  点击 "Move or Copy Sheet..." 是继续推进任务的正确选择。
  ```
- 操作:
  1. 左键单击坐标 (0.19, 0.811)

### 步骤 6:
- 描述:
  ```
  #### 重要信息
  
  - "Move/Copy Sheet" 对话框已成功打开
  - 当前 "Move" 选项被选中(红色圆点)
  - "Copy" 选项未被选中
  - "Insert before" 列表中 "Sheet2" 已被选中(橙色高亮),这是正确的位置
  - "New name" 字段显示 "LARS Resources"
  
  #### 情况分析与思考过程
  
  根据任务要求,我需要:
  1. 勾选 "Copy" 选项来创建副本(而不是移动)
  2. 确认插入位置在 Sheet2 之前(已经选中,正确)
  3. 点击 OK 创建副本
  4. 之后将副本重命名为 "LARS Resources (Backup)"
  
  现在需要先点击 "Copy" 单选按钮来切换操作模式从 "Move" 到 "Copy"。
  ```
- 操作:
  1. 左键单击坐标 (0.527, 0.342)

### 步骤 7:
- 描述:
  ```
  #### 重要信息
  
  - "Move/Copy Sheet" 对话框已打开
  - "Copy" 单选按钮已被选中(红色圆点)
  - "Insert before" 列表中 "Sheet2" 已被选中(橙色高亮)
  - "New name" 字段显示 "LARS Resources_2"
  - 底部标签栏显示:LARS Resources、Sheet2、Sheet3
  
  #### 情况分析与思考过程
  
  当前对话框配置正确:
  1. ✓ "Copy" 选项已选中 - 将创建副本而非移动
  2. ✓ "Sheet2" 在 "Insert before" 中被选中 - 副本将放置在 Sheet2 之前
  3. 当前新名称为 "LARS Resources_2",根据任务要求,我需要在创建后将其重命名为 "LARS Resources (Backup)"
  
  根据策略树的任务流程,我现在应该:
  1. 点击 "OK" 按钮创建副本
  2. 然后对副本进行重命名操作
  
  点击 OK 按钮是推进任务的正确下一步,这将创建一个位于 Sheet2 之前的 "LARS Resources" 副本。
  ```
- 操作:
  1. 左键单击坐标 (0.574, 0.731)

### 步骤 8:
- 描述:
  
- 操作:
  1. 右键单击坐标 (0.144, 0.968)

### 步骤 9:
- 描述:
  ```
  #### 重要信息
  
  - 复制操作已成功完成!底部标签栏现在显示:LARS Resources_2、LARS Resources、Sheet2、Sheet3
  - "LARS Resources_2" 是刚创建的副本,位于 Sheet2 之前(正确位置)
  - 当前右键菜单已打开,显示在 "LARS Resources_2" 标签上
  - 菜单中包含 "Rename Sheet..." 选项
  
  #### 情况分析与思考过程
  
  根据策略树任务进度:
  1. ✓ 任务1完成:Sheet1 已重命名为 "LARS Resources"
  2. ✓ 任务2完成:已成功复制 "LARS Resources" 并放置在 Sheet2 之前(现在名为 "LARS Resources_2")
  3. 当前进行任务3:将副本重命名为 "LARS Resources (Backup)"
  4. 待完成任务4:将 Sheet2 重命名为 "LARS Resources (Offline)"
  
  当前右键菜单已打开,我需要点击 "Rename Sheet..." 选项来重命名副本。这是继续推进任务的正确下一步。
  ```
- 操作:
  1. 左键单击坐标 (0.183, 0.787)

### 步骤 10:
- 描述:
  ```
  #### 重要信息
  
  - "Rename Sheet" 对话框已成功打开
  - 文本字段中当前显示 "LARS Resources_2"(已选中/高亮显示为橙色)
  - 需要将其重命名为 "LARS Resources (Backup)"
  - 底部标签栏显示:LARS Resources_2、LARS Resources、Sheet2、Sheet3
  
  #### 情况分析与思考过程
  
  根据策略树任务进度:
  1. ✓ 任务1完成:Sheet1 已重命名为 "LARS Resources"
  2. ✓ 任务2完成:已成功复制 "LARS Resources" 并放置在 Sheet2 之前(现在名为 "LARS Resources_2")
  3. 当前进行任务3:将副本重命名为 "LARS Resources (Backup)"
     - 重命名对话框已打开
     - 当前名称 "LARS Resources_2" 已选中
     - 需要输入新名称 "LARS Resources (Backup)"
  4. 待完成任务4:将 Sheet2 重命名为 "LARS Resources (Offline)"
  
  由于文本字段中的内容已经选中,我可以直接输入新名称来替换它。输入完成后需要点击 OK 按钮确认。
  ```
- 操作:
  1. 输入文本: LARS Resources (Backup)
  2. 左键单击坐标 (0.565, 0.556)

### 步骤 11:
- 描述:
  
- 操作:
  1. 右键单击坐标 (0.277, 0.968)

### 步骤 12:
- 描述:
  ```
  #### 重要信息
  
  - LibreOffice Calc 已打开,文件名为 "copy_sheet_insert.xlsx"
  - 底部工作表标签显示:LARS Resources (Backup)、LARS Resources、Sheet2
  - 当前右键菜单已打开,显示在 "Sheet2" 标签上
  - 菜单中包含 "Rename Sheet..." 选项
  - 根据策略树,任务1-3已完成,现在进行任务4:将 Sheet2 重命名为 "LARS Resources (Offline)"
  
  #### 情况分析与思考过程
  
  根据历史操作和当前截图:
  1. ✓ 任务1完成:Sheet1 已重命名为 "LARS Resources"
  2. ✓ 任务2完成:已成功复制 "LARS Resources" 并放置在 Sheet2 之前
  3. ✓ 任务3完成:副本已重命名为 "LARS Resources (Backup)"
  4. 当前进行任务4:将 Sheet2 重命名为 "LARS Resources (Offline)"
     - 已右键点击 Sheet2 标签,上下文菜单已打开
     - 需要点击 "Rename Sheet..." 选项
     - 然后输入新名称 "LARS Resources (Offline)" 并确认
  
  当前上下文菜单已打开,我需要点击 "Rename Sheet..." 选项来开始重命名 Sheet2。这是继续推进任务的正确下一步。
  ```
- 操作:
  1. 左键单击坐标 (0.183, 0.787)

### 步骤 13:
- 描述:
  
- 操作:
  1. 右键单击坐标 (0.277, 0.968)

### 步骤 14:
- 描述:
  ```
  #### 重要信息
  
  - LibreOffice Calc 已打开,文件名为 "copy_sheet_insert.xlsx"
  - 底部工作表标签显示:LARS Resources (Backup)、LARS Resources、Sheet2
  - 当前右键菜单已打开,这是上一步右键点击 Sheet2 标签的结果
  - 菜单中包含 "Rename Sheet..." 选项,位于第三项
  - 根据策略树,任务1-3已完成,现在进行任务4:将 Sheet2 重命名为 "LARS Resources (Offline)"
  
  #### 情况分析与思考过程
  
  根据历史操作和当前截图:
  1. ✓ 任务1完成:Sheet1 已重命名为 "LARS Resources"
  2. ✓ 任务2完成:已成功复制 "LARS Resources" 并放置在 Sheet2 之前
  3. ✓ 任务3完成:副本已重命名为 "LARS Resources (Backup)"
  4. 当前进行任务4:将 Sheet2 重命名为 "LARS Resources (Offline)"
     - 已右键点击 Sheet2 标签,上下文菜单已打开
     - 需要点击 "Rename Sheet..." 选项
     - 然后输入新名称 "LARS Resources (Offline)" 并确认
  
  当前上下文菜单已打开,我需要点击 "Rename Sheet..." 选项来开始重命名 Sheet2。这是继续推进任务的正确下一步。
  ```
- 操作:
  1. 左键单击坐标 (0.32, 0.787)

### 步骤 15:
- 描述:
  
- 操作:
  1. 输入文本: LARS Resources (Offline)
  2. 左键单击坐标 (0.565, 0.556)

### 步骤 16:
- 描述:
  ```
  #### 重要信息
  
  - LibreOffice Calc 已打开,文件名为 "copy_sheet_insert.xlsx"
  - 底部工作表标签显示(从左到右):
    1. "LARS Resources (Backup)"
    2. "LARS Resources"
    3. "LARS Resources (Offline)"
    4. "Sheet3"
  - 根据任务要求,正确的顺序应该是:
    1. "LARS Resources"
    2. "LARS Resources (Backup)"
    3. "LARS Resources (Offline)"
  - 当前 "LARS Resources (Backup)" 在 "LARS Resources" 之前,顺序不正确
  - 需要调整工作表顺序,将 "LARS Resources (Backup)" 移动到 "LARS Resources" 之后
  
  #### 情况分析与思考过程
  
  根据策略树和历史操作:
  1. ✓ 任务1完成:Sheet1 已重命名为 "LARS Resources"
  2. ✓ 任务2完成:已成功复制 "LARS Resources"
  3. ✓ 任务3完成:副本已重命名为 "LARS Resources (Backup)"
  4. ✓ 任务4完成:Sheet2 已重命名为 "LARS Resources (Offline)"
  
  但是,关键视觉证据要求工作表标签的顺序为:LARS Resources → LARS Resources (Backup) → LARS Resources (Offline)
  
  当前顺序是:LARS Resources (Backup) → LARS Resources → LARS Resources (Offline)
  
  我需要调整顺序。可以通过右键点击 "LARS Resources (Backup)" 标签,选择移动选项,将其放置在 "LARS Resources" 之后(即在 "LARS Resources (Offline)" 之前)。
  ```
- 操作:
  1. 右键单击坐标 (0.144, 0.968)

### 步骤 17:
- 描述:
  ```
  #### 重要信息
  
  - 右键点击 "LARS Resources (Backup)" 标签后,上下文菜单已成功弹出
  - 菜单中包含 "Move or Copy Sheet..." 选项,位于第四项
  - 这是调整工作表顺序的必要步骤
  - 当前工作表标签顺序为:LARS Resources (Backup) → LARS Resources → LARS Resources (Offline)
  - 目标顺序为:LARS Resources → LARS Resources (Backup) → LARS Resources (Offline)
  
  #### 情况分析与思考过程
  
  根据策略树和历史操作:
  1. ✓ 任务1完成:Sheet1 已重命名为 "LARS Resources"
  2. ✓ 任务2完成:已成功复制 "LARS Resources"
  3. ✓ 任务3完成:副本已重命名为 "LARS Resources (Backup)"
  4. ✓ 任务4完成:Sheet2 已重命名为 "LARS Resources (Offline)"
  
  但是工作表顺序不正确。当前顺序是:LARS Resources (Backup) → LARS Resources → LARS Resources (Offline)
  
  我需要将 "LARS Resources (Backup)" 移动到 "LARS Resources" 之后。当前右键菜单已打开,我需要点击 "Move or Copy Sheet..." 选项来开始移动操作。
  ```
- 操作:
  1. 左键单击坐标 (0.192, 0.811)

### 步骤 18:
- 描述:
  ```
  #### 重要信息
  
  - "Move/Copy Sheet" 对话框已成功打开
  - "Move" 选项被选中(红色圆点),表示这是移动操作而非复制
  - "Insert before" 列表中当前选中的是 "LARS Resources (Backup)"(橙色高亮)
  - 列表中其他选项包括:LARS Resources、LARS Resources (Offline)、Sheet3、- move to end position -
  - "New name" 字段显示 "LARS Resources (Backup)"
  - 底部标签栏显示当前顺序:LARS Resources (Backup) → LARS Resources → LARS Resources (Offline)
  
  #### 情况分析与思考过程
  
  根据策略树和历史操作:
  1. ✓ 任务1完成:Sheet1 已重命名为 "LARS Resources"
  2. ✓ 任务2完成:已成功复制 "LARS Resources"
  3. ✓ 任务3完成:副本已重命名为 "LARS Resources (Backup)"
  4. ✓ 任务4完成:Sheet2 已重命名为 "LARS Resources (Offline)"
  
  当前需要调整工作表顺序。目标顺序是:LARS Resources → LARS Resources (Backup) → LARS Resources (Offline)
  
  当前对话框配置:
  - "Move" 已选中(正确)
  - 需要选择 "LARS Resources (Offline)" 作为插入位置,这样 "LARS Resources (Backup)" 就会被放置在 "LARS Resources" 之后、"LARS Resources (Offline)" 之前
  
  我需要点击 "LARS Resources (Offline)" 选项来选择它作为插入位置,然后点击 OK 确认移动。
  ```
- 操作:
  1. 左键单击坐标 (0.49, 0.525)


</SITUATION>